Be on the Lookout! (Can you hear the Emergency Alert Signal?)
The Minnesota Department of Agriculture recently announced 2 new invasive bugs. UGH.
Both insects were reported by two separate vigilant homeowners and were later confirmed as invasive insects: The Elm seed bug (Arocatus melanocephalus) and Asiatic garden beetle (Maladera formosae).
Shout out to those vigilant homeowners!
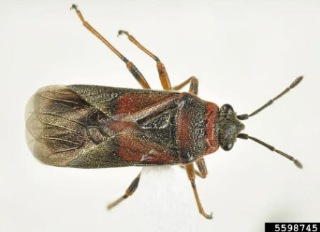
While they feed on elm seeds and leaves, like boxelder bugs, the elm seed bug is really more of a nuisance. Native to Europe and first confirmed in the U.S in 2012, it’s swiftly moving in. Literally, into your home. Unlike boxelder bugs, these guys start to move in in mid-June. The best defense is a good offense.

Elm seed bug
That includes sealing cracks and crevices on the exterior of buildings so the insects can’t enter and vacuuming up those that make it inside. The University of Idaho has more information on Managing Elm Seed bugs.

And now the real “bugger” for gardeners. The Asiatic Garden Beetle. It feeds on over 100 types of plants including fruit, vegetables, perennials and annuals. They were discovered next door (Wisconsin) in 2021.

This from the University of New Hampshire: A native of Japan and China, where it is not an important pest, the Asiatic garden beetle (Maladera castanea) was first discovered in the United States in New Jersey in 1922. Asiatic garden beetle grubs feed off the roots of grasses and weeds in early spring. Adult beetles attack many different vegetable, herb, fruit, and ornamental plants, feeding mostly at night where they strip, shred, and notch the foliage of their hosts. Asiatic garden beetle damage is especially prevalent around the leaf margins.

Photo by Michael J. Raupp, Ph.D Professor of Entomology
The grubs of the Asiatic garden beetle prefer the roots of ornamentals and garden plants. “Preferred” hosts include butterfly bush, rose, dahlia, aster and chrysanthemum. But they aren’t limited to those plants.
The adult beetles are most active at night. Just as you would with Japanese beetles, you can toss these buggers into soapy water (just a drop of dish soap is enough). They don’t swim well. They’re attracted to light and may swarm on windows, screen doors, anywhere there is bright light. Here’s more information from the University of New Hamphire.
If you see them, report them! Here’s additional information from the Minnesota Department of Agriculture on how to document and report invasive species.
Keeping vigilant,
